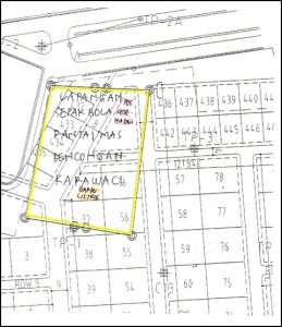
Utusan resmi dari Dirut PT SSS untuk menghadiri proses verifikasi lapangan diatas lahan lapangan bola di Kelurahan bencongan, Kabupaten Tangerang, Banten. (Foto/RDI)
Utusan resmi dari Dirut PT SSS untuk menghadiri proses verifikasi lapangan diatas lahan lapangan bola di Kelurahan bencongan, Kabupaten Tangerang, Banten. (Foto/RDI)


